Vereins-Pokalangeln 2023
Das Sommerangeln! Blauer Himmel, Sonnenschein und schon früh morgens angenehme Temperaturen - so soll es sein! Wenn da nicht überall die ungemähten Wiesen wären…und der Nordost…aber irgendwas ist ja immer 😜
12 Angler verschlug es diesmal an die Strecke Einlauf Alte Drepte-Peushamsfleth-Hochspannung. Hier war das Gras noch beherrschbar.
Leider wieder niemand aus der Jugendgruppe 😔


Perfekte Bedingungen. Das riecht nach Fisch auf dem oberen Endplatz.

Der Blick auf die Wiese zeigt das hohe Gras - und hier war es deutlich niedriger, als auf den Mähwiesen, da die Kühe schon einmal alles abgeweidet hatten.

Der Fuhrpark der Teilnehmer. Immerhin war der Seitenstreifen schön frei und wir konnten vernünftig parken.
Wiegezeit;
.. auf Platz 12 ging es los, ..

Der Endplatz scheint sich für Rüdl gelohnt zu haben. Oder kommt da woanders noch mehr?

.. Andreas ist mittlerweile an Platz-Nr. 1. angekommen und zückt die Waage..
.. unterwegs hat er die folgenden Bilder eingesammelt ..

Das ist mal eine amtliche Güster, die Uwe da erwischt hat.

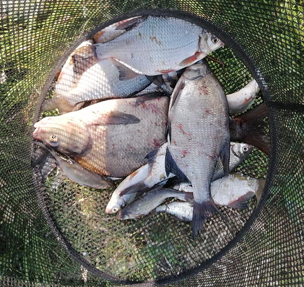
Und auch bei Andreas ist ordentlich was im Kescher.

Bei den anderen war es bis auf bei Matze und Wolfgang etwas mau….

Matze hatte die richtigen Klodeckel zu fassen, Wolfgang eher die Halbstarken. So unterschiedlich ist es von Platz zu Platz, auch wenn man nur 20 Meter voneinander entfernt angelt.

Da hilft auch das weite Vorhalten nichts - der wird nicht gößer!
Angelkram zurück zu den Fahrzeugen schleppen ..

Klönschnack ..


Das Verlesen der Fänge - der traditionelle Wanderpokal mit mittlerweile 20 Jahren auf dem Buckel - und so sieht er auch aus - wartet auf seinen neuen Besitzer.





Die Spannung steigt….


.. und wer hat den POTT jetzt ein Jahr zu Hause ??


Der alte Besitzer übergibt den Pokal an den diesjährigen Gewinner.

Andreas freut sich offenbar mehr, den Pokal loszuwerden, als Uwe über den guten Fang.

Ergebnis:
1. Uwe Rosch - 9 Fische - 5100g
2. Andreas Konz - 12 Fische - 4340g
3. Rüdiger Kohl - 17 Fische - 3920g
4. Mathias Hinz - 4 Fische - 3720g
5. Wolfgang Hahn - 5 Fische - 760g
6. Ronald Lichtnow - 3 Fische - 140g
7. Nils Grafelmann - 2 Fische - 80g
8. Uwe Ziemer - 2 Fische - 60g
9. Ulf Grafelmann - 1 Fisch - 20g
ohne Fang blieben leider Jürgen Jahn, Olaf Schönknecht und Rolf Mahler